|
Instituto del Patrimonio Cultural de España
»
Planoteca
»
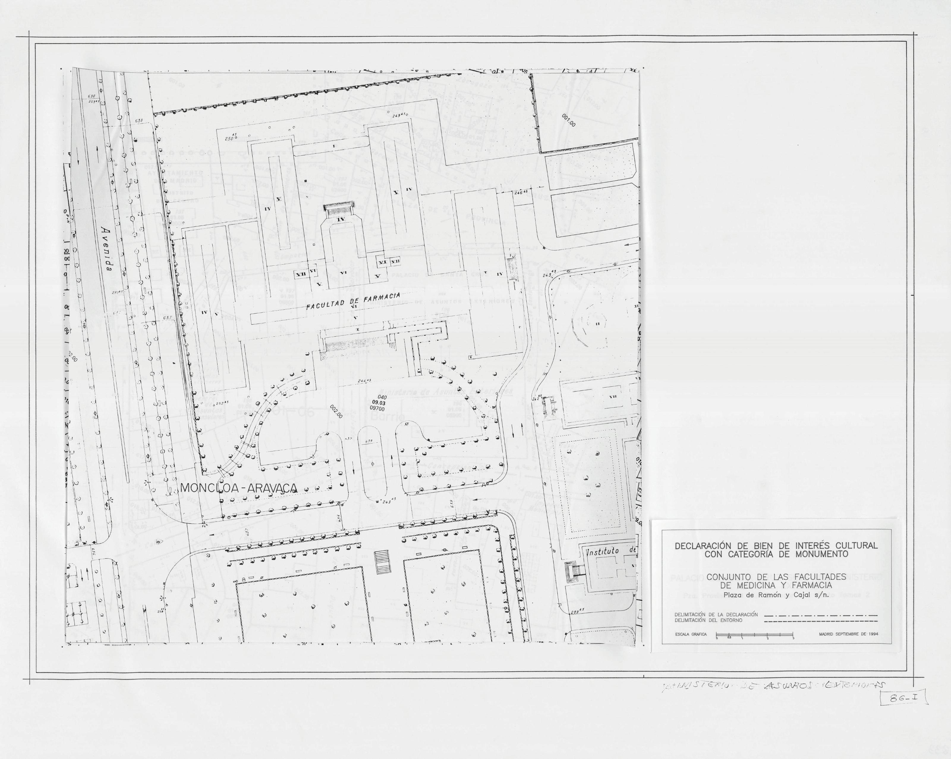
CONUNTO DE LAS FACULTADES DE MEDICINA Y FARMACIA: PLANO PARCELARIO
|
|
|
|
CONUNTO DE LAS FACULTADES DE MEDICINA Y FARMACIA: PLANO PARCELARIO
Fechas extremas
1994, enero, 1
Signatura
PLM CAJA 21 692 / 2833
Tipología documental
Plano
Signatura digital
Nº de Imagen: 10743 Nº de Disco TIFF: 0279 Nº de Disco JPEG: 0003 Nº de Disco DJVU: 0001
CONUNTO DE LAS FACULTADES DE MEDICINA Y FARMACIA: PLANO PARCELARIO
|